Green Giant Western Red Cedar

Thuja plicata x standishii 'Green Giant'

Description:
A cross between our native Western red cedar and Japanese arborvitae. Dense and pyramidal, it is great for screening. No hedge trimmers needed. It is tolerant of damp soils.

Power Line Approved: No

Min. street tree planting width: 12 feet

Mature Height: 60 feet

Mature Spread: 20 feet

Tree Shape: Pyramidal

Where to Plant:
Excellent yard tree. Great for screening.

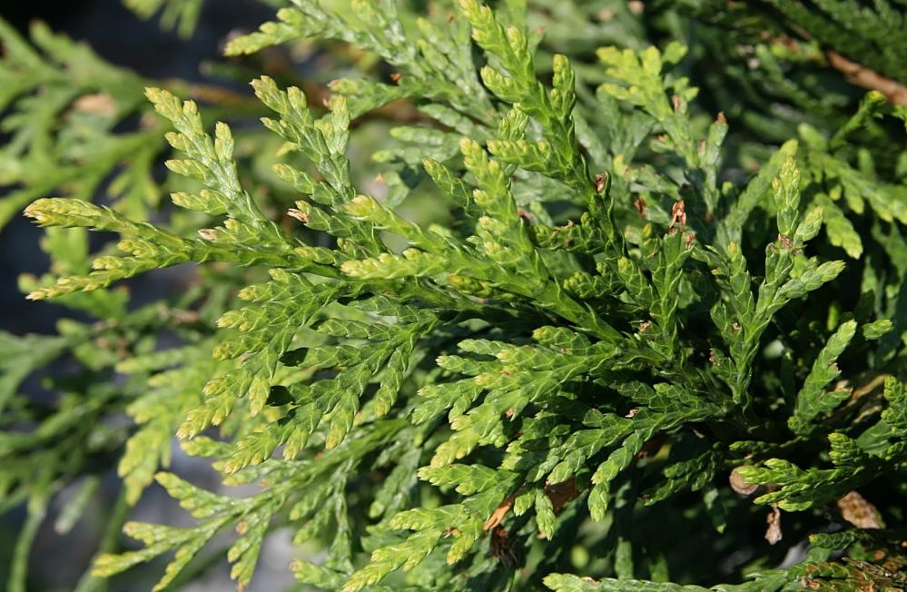
Leaves:
Scale-like leaves are green on top with white markings in a butterfly pattern underneath.

Fruit:
Small ½” elliptical, urn-shaped cone. Sits upright on the stems.

Preferred Site Conditions:
Part sun to shade. Prefers moist soils.

Potential Problems:
No serious insect or disease problems.

Minimum Planting Distances:

  • 15 feet from house or building
  • 3 ½ feet back from the face of the curb
  • 5 feet from underground utility lines
  • 10 feet from power poles
  • 7 ½ feet from driveways (10 feet recommended)
  • 20 feet from street lights and other existing trees
  • 30 feet from street intersections

Additional Resources